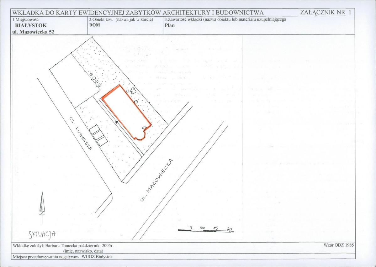
Zabytek.pl Dom przy ul. Mazowieckiej 52 1 Przejdź do widoku obiektu KB - Karta biała Pobierz Pobierz Pobierz 1 stronę Pobierz dokument Dodaj do ulubionych Dodaj do ulubionych Drukuj Drukuj Udostępnij Udostępnij Udostępnijpodziel się na linkedinpodziel się na fejsbukupodziel się na tłiterze Informacje Notatki zamknij widok Domyślny widok abc Warstwa OCR Widok stron 5 Widok stron Powiększ Powiększ poprzedni obiekt następny obiekt KB - Karta biała dom Nr karty: 528 Data dokumentu: 2005-10-01 Autor: Oleksicki Antoni; Tomecka Barbara; Lewkowicz Anna Zasób: Ewidencja zabytków nieruchomych Identyfikator: PL.1.9.ZIPOZ.NID_N_20_EN.254494 Dodaj do kolekcji Licencjedomena publiczna Dodaj notatkę Dodaj notatkę Dodaj notatkę Dodaj notatkę Dodaj notatkę Aby dodawać lub przeglądać notatki musisz się zalogować. Zaloguj się Nie masz jeszcze konta? Zarejestruj się Pobierz Pobierz Pobierz 1 stronę Pobierz dokument Dodaj do ulubionych Dodaj do ulubionych Drukuj Drukuj Udostępnij Udostępnij Udostępnijpodziel się na linkedinpodziel się na fejsbukupodziel się na tłiterze KB - Karta biała 5 Podgląd stron5 1 2 3 4 5 1 2 3 4 5