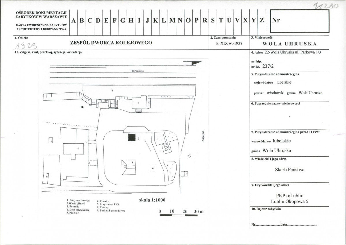
Zabytek.pl zespół dworca kolejowego 1 Go to monument's view Karta biała Download Download Download this page Download document Add to favorites Add to favourites Print Print Share Share Shareshare on linkedinshare on facebookshare on twitter Document Notes close view Default View abc Warstwa OCR Page view 7 Page view Zoom In Zoom In previous object next object Karta biała Nr: 11280 Document date: 2008-08-01 Author: Czerepińska J. Register: Ewidencja zabytków nieruchomych Document Id: PL.1.9.ZIPOZ.NID_N_06_EN.503469 Add to collection Licence Add note Add note Add note Add note Add note Add note Add note Please, login to add notes. Login Not registered yet? Register now! Download Download Download this page Download document Add to favorites Add to favourites Print Print Share Share Shareshare on linkedinshare on facebookshare on twitter Karta biała 7 Podgląd stron7 1 2 3 4 5 6 7 1 2 3 4 5 6 7